Tentang AvareX
Aplikasi Navigasi Penerbangan untuk penerbangan VFR dan IFR
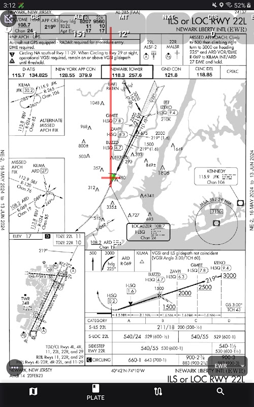
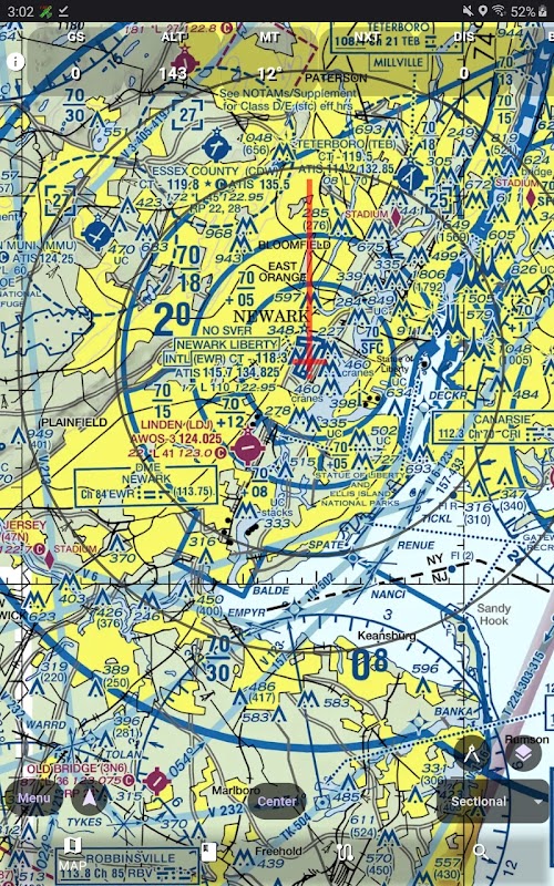
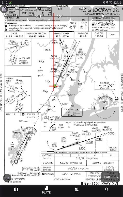
AvareX dirancang untuk pilot dan berisi Bagan Aeronautika FAA yang direferensikan secara geografis, IFR (Tinggi dan Rendah), VFR (Sectional dan TAC), Jalur Terbang, helikopter, pelat pendekatan instrumen, dan Suplemen Bagan hanya untuk Amerika Serikat dan wilayahnya. Untuk grafik di luar Amerika Serikat, AvareX mengandalkan "OSM" atau Open Street Maps. AvareX mendukung data ADS-B In dari perangkat Wi-FI GDL-90 apa pun (misalnya StratuX, model terbaru StratuS, iLevil, dll.) dan akan menampilkan lalu lintas, cuaca, dan data ADS-B lain yang diterima.
AvareX sepenuhnya gratis untuk digunakan tanpa biaya, langganan berbayar, iklan, atau penjualan informasi pribadi Anda. AvareX adalah pengganti aplikasi Avare asli yang menunggu keputusan. AvareX didukung komunitas dan didanai melalui sumbangan pengguna.
AvareX saat ini sedang dalam tahap pengembangan aktif versi Beta. Pilot sedang menguji AvareX, menggunakannya dalam penerbangan, memberikan umpan balik, dan mengirimkan permintaan fitur.
Kami mengundang Anda untuk bergabung dengan komunitas Apps4Av internasional untuk menyempurnakan lebih lanjut aplikasi luar biasa ini. Bergabunglah dengan Saluran YouTube dan Forum Grup Google kami, dan bantu kami menyempurnakan AvareX (X=Lintas Platform) lebih lanjut. AvareX adalah generasi berikutnya dari aplikasi Avare Platform Tunggal (khusus Android) yang populer. AvareX kini berjalan di semua platform komputasi utama: iOS (iPhone/iPad), MacOS, Windows, Linux, ChromeOS, dan tentu saja Android.
Bergabunglah dengan milis untuk mendapatkan tips, trik, dukungan, dan bantuan lainnya di https://groups.google.com/g/apps4av-forum atau [email protected]
What's new in the latest 0.0.84
Informasi APK AvareX
Versi lama AvareX
AvareX 0.0.84
AvareX 0.0.67
AvareX 0.0.66
AvareX 0.0.61
Pengunduhan Super cepat dan aman melalui aplikasi APKPure
Sekali klik untuk menginstal file XAPK/APK di Android!



