دربارهی AvareX
برنامه ناوبری هوانوردی برای هر دو پرواز VFR و IFR
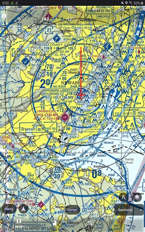
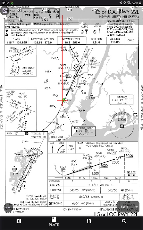
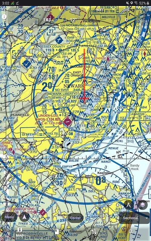
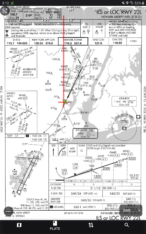
AvareX برای خلبانان طراحی شده است و شامل نمودارهای هوانوردی FAA با ارجاع جغرافیایی، IFR (بالا و پایین)، VFR (بخشی و TAC)، Flyway، هلیکوپتر، صفحات نزدیک به ابزار، و مکمل های نمودار فقط برای ایالات متحده و مناطق آن است. برای نمودارهای خارج از ایالات متحده، AvareX به "OSM" یا Open Street Maps متکی است. AvareX از داده های ADS-B In از هر دستگاه Wi-FI GDL-90 (مانند StratuX، StratuS مدل جدید، iLevil و غیره) پشتیبانی می کند و ترافیک، آب و هوا و سایر داده های دریافتی ADS-B را نمایش می دهد.
AvareX برای استفاده بدون هزینه، اشتراک پولی، تبلیغات یا فروش اطلاعات شخصی شما کاملاً رایگان است. AvareX یک جایگزین معلق برای برنامه اصلی Avare است. AvareX از طریق کمک های مالی کاربران توسط جامعه پشتیبانی و تامین می شود.
AvareX در حال حاضر در مرحله توسعه فعال نسخه بتا است. خلبانان در حال آزمایش AvareX، استفاده از آن در پرواز، ارائه بازخورد و ارسال درخواستهای ویژگی هستند.
ما از شما دعوت می کنیم تا در اصلاح بیشتر این برنامه شگفت انگیز به جامعه بین المللی Apps4Av بپیوندید. به کانال یوتیوب و تالار گفتمان Google Groups ما بپیوندید و به اصلاح بیشتر AvareX (X=Cross-Platform) ما کمک کنید. AvareX نسل بعدی برنامه قدیمی آواره تک پلتفرم (فقط اندروید) است. AvareX اکنون بر روی هر پلت فرم محاسباتی اصلی اجرا می شود: iOS (iPhone/iPad)، MacOS، Windows، Linux، ChromeOS و البته Android.
برای دریافت نکات، ترفندها، پشتیبانی و سایر راهنماییها در https://groups.google.com/g/apps4av-forum یا [email protected] به لیست پستی بپیوندید
جدیدترین 0.0.84 چه خبر است
اطلاعات AvareX APK
نسخههای قدیمی AvareX
AvareX 0.0.84
AvareX 0.0.67
AvareX 0.0.66
AvareX 0.0.61
دانلود فوق سریع و ایمن از طریق برنامه APKPure
برای نصب فایل های XAPK/APK در اندروید با یک کلیک!



