AvareX hakkında
Hem VFR hem de IFR uçuşları için Havacılık Navigasyon uygulaması
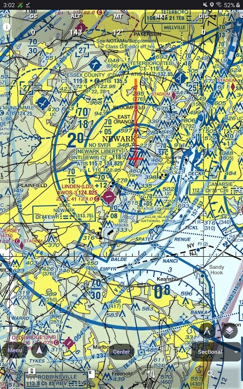
AvareX pilotlar için tasarlanmıştır ve yalnızca Amerika Birleşik Devletleri ve bölgeleri için Coğrafi referanslı FAA Havacılık Haritaları, IFR (Yüksek ve Düşük), VFR (Bölümsel ve TAC), Uçuş Yolu, helikopter, aletli yaklaşma plakaları ve Harita Eklerini içerir. Amerika Birleşik Devletleri dışındaki grafikler için AvareX "OSM" veya Açık Sokak Haritalarına güvenir. AvareX, herhangi bir Wi-FI GDL-90 cihazından (örn. StratuX, son model StratuS, iLevil, vb.) gelen ADS-B In verilerini destekler ve trafiği, hava durumunu ve alınan diğer ADS-B verilerini görüntüler.
AvareX'in kullanımı tamamen ücretsizdir; herhangi bir maliyet, ücretli abonelik, reklam veya kişisel bilgilerinizin satışı söz konusu değildir. AvareX, orijinal Avare uygulamasının yerine geçmeyi bekleyen bir uygulamadır. AvareX, topluluk tarafından desteklenen ve kullanıcı bağışlarıyla finanse edilen bir platformdur.
AvareX şu anda Beta sürümü aktif geliştirme aşamasındadır. Pilotlar AvareX'i uçuş sırasında kullanarak, geri bildirim sağlayarak ve özellik isteklerini göndererek test ediyor.
Bu harika uygulamayı daha da geliştirmek için sizi uluslararası Apps4Av topluluğuna katılmaya davet ediyoruz. YouTube Kanalımıza ve Google Grupları Forumumuza katılın ve AvareX'i (X=Cross-Platform) daha da geliştirmemize yardımcı olun. AvareX, popüler eski Tek Platformlu (yalnızca Android) Avare uygulamasının yeni neslidir. AvareX artık tüm büyük bilgi işlem platformlarında çalışıyor: iOS (iPhone/iPad), MacOS, Windows, Linux, ChromeOS ve tabii ki Android.
İpuçları, püf noktaları, destek ve diğer yardımlar için https://groups.google.com/g/apps4av-forum veya [email protected] adresindeki posta listesine katılın.
What's new in the latest 0.0.84
AvareX APK Bilgileri
AvareX'in eski sürümleri
AvareX 0.0.84
AvareX 0.0.67
AvareX 0.0.66
AvareX 0.0.61
APK Uygulaması ile Süper Hızlı ve Güvenli İndirme
XAPK/APK dosyalarını Android'e yüklemek için tek tıkla!



