このAvareXについて
VFR フライトと IFR フライトの両方に対応した航空ナビゲーション アプリケーション
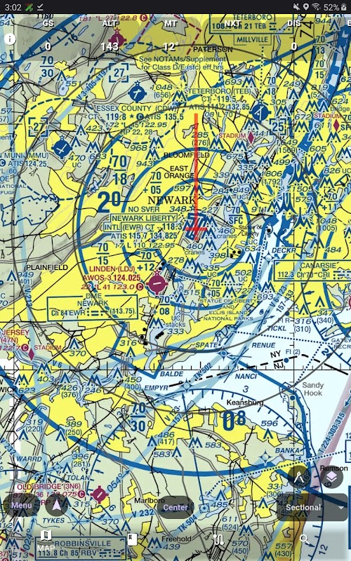
AvareX はパイロット向けに設計されており、地理参照された FAA 航空図、IFR (高値および低値)、VFR (断面および TAC)、フライウェイ、ヘリコプター、計器進入プレート、および米国とその領土のみを対象とした図表補足が含まれています。 米国以外のチャートの場合、AvareX は「OSM」または Open Street Maps に依存します。 AvareX は、あらゆる Wi-FI GDL-90 デバイス (StratuX、後期モデル StratuS、iLevil など) からの ADS-B In データをサポートし、交通量、天気、その他の ADS-B 受信データを表示します。
AvareX は、費用、有料サブスクリプション、広告、個人情報の販売なしで完全に無料で使用できます。 AvareX は、元の Avare アプリケーションの保留中の代替品です。 AvareX はコミュニティによってサポートされ、ユーザーの寄付によって資金提供されています。
AvareX は現在、ベータ版の開発段階にあります。パイロットは AvarX をテストし、飛行中に使用し、フィードバックを提供し、機能リクエストを送信しています。
この素晴らしいアプリをさらに改良するために、国際的な Apps4Av コミュニティにぜひご参加ください。 YouTube チャンネルと Google グループ フォーラムに参加して、AvareX (X=クロスプラットフォーム) のさらなる改良にご協力ください。 AvareX は、人気のある従来の単一プラットフォーム (Android のみ) Avare アプリの次世代です。 AvareX は現在、iOS (iPhone/iPad)、MacOS、Windows、Linux、ChromeOS、そしてもちろん Android など、あらゆる主要なコンピューティング プラットフォーム上で動作します。
https://groups.google.com/g/apps4av-forum または [email protected] でヒント、テクニック、サポート、その他のヘルプを入手できるメーリング リストに参加してください。



