關於AvareX
適用於 VFR 和 IFR 航班的航空導航應用
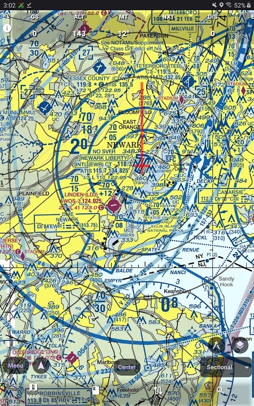
AvareX 專為飛行員設計,包含地理參考 FAA 航空圖表、IFR(高和低)、VFR(分段和 TAC)、飛行路線、直升機、儀表進場板和僅適用於美國及其領土的圖表補充。 對於美國以外的圖表,AvareX 依賴「OSM」或開放街道地圖。 AvareX 支援來自任何 Wi-FI GDL-90 裝置(例如 StratuX、最新型號 StratuS、iLevil 等)的 ADS-B 輸入數據,並將顯示交通、天氣和其他 ADS-B 接收的數據。
AvareX 完全免費使用,無需付費、付費訂閱、廣告或出售您的個人資訊。 AvareX 是原始 Avare 應用程式的待替代品。 AvareX 獲得社群支持並透過用戶捐贈資助。
AvareX 目前正處於 Beta 版本積極開發階段。飛行員正在測試 AvareX,在飛行中使用它,提供回饋並提交功能請求。
我們邀請您加入國際 Apps4Av 社區,進一步完善這個令人驚嘆的應用程式。加入我們的 YouTube 頻道和 Google 群組論壇,幫助我們進一步完善 AvareX(X=跨平台)。 AvareX 是流行的傳統單平台(僅限 Android)Avare 應用程式的下一代。 AvareX 現在可以在每個主要運算平台上運行:iOS (iPhone/iPad)、MacOS、Windows、Linux、ChromeOS,當然還有 Android。
加入郵件清單以獲取提示、技巧、支援和其他協助:https://groups.google.com/g/apps4av-forum 或 [email protected]
最新版本0.0.84的更新日誌
Last updated on 2026年02月16日
Minor bug fixes and improvements. Install or update to the newest version to check it out!
AvareX APK信息
在APKPure安全快速地下載APK
APKPure 使用簽章驗證功能,確保為您提供無病毒的 AvareX APK 下載。
AvareX歷史版本
AvareX 0.0.84
36.4 MB2026年02月16日
AvareX 0.0.67
31.2 MB2025年10月28日
AvareX 0.0.66
31.2 MB2025年09月30日
AvareX 0.0.61
31.1 MB2025年09月13日



