关于AvareX
适用于 VFR 和 IFR 航班的航空导航应用
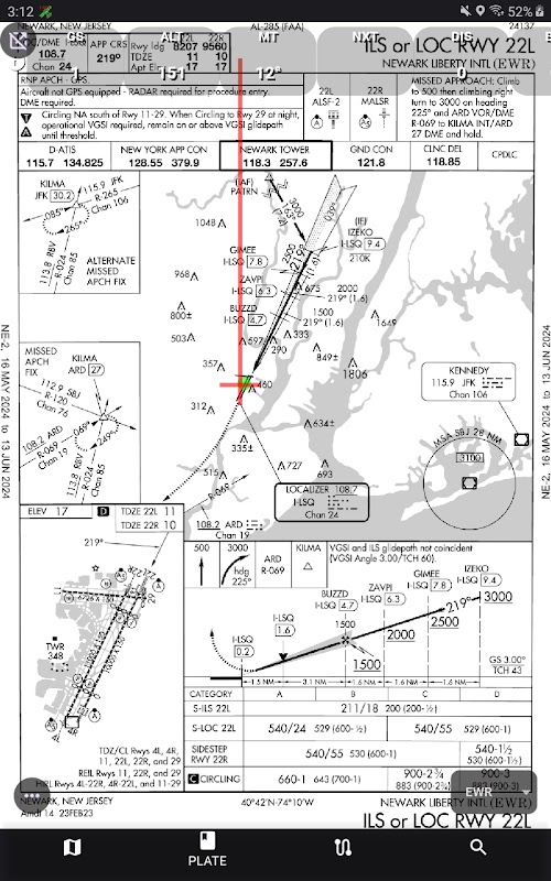
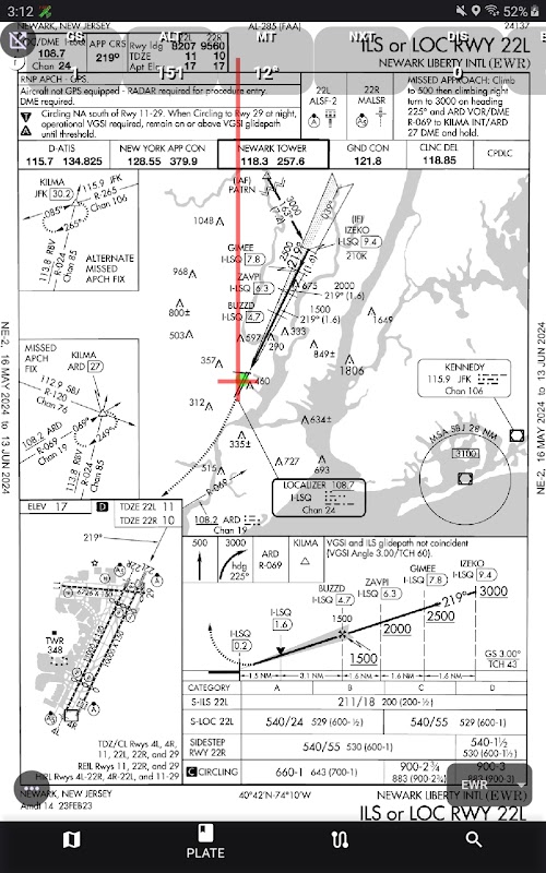
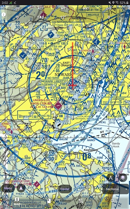
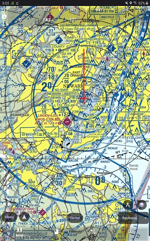
AvareX 专为飞行员设计,包含地理参考 FAA 航空图表、IFR(高和低)、VFR(分段和 TAC)、飞行路线、直升机、仪表进近板和仅适用于美国及其领土的图表补充。 对于美国以外的图表,AvareX 依赖于“OSM”或开放街道地图。 AvareX 支持来自任何 Wi-FI GDL-90 设备(例如 StratuX、最新型号 StratuS、iLevil 等)的 ADS-B 输入数据,并将显示交通、天气和其他 ADS-B 接收的数据。
AvareX 完全免费使用,无需付费、付费订阅、广告或出售您的个人信息。 AvareX 是原始 Avare 应用程序的待替代品。 AvareX 得到社区支持并通过用户捐赠资助。
AvareX 目前正处于 Beta 版本积极开发阶段。飞行员正在测试 AvareX,在飞行中使用它,提供反馈并提交功能请求。
我们邀请您加入国际 Apps4Av 社区,进一步完善这个令人惊叹的应用程序。加入我们的 YouTube 频道和 Google 群组论坛,帮助我们进一步完善 AvareX(X=跨平台)。 AvareX 是流行的传统单平台(仅限 Android)Avare 应用程序的下一代。 AvareX 现在可以在每个主要计算平台上运行:iOS (iPhone/iPad)、MacOS、Windows、Linux、ChromeOS,当然还有 Android。
加入邮件列表以获取提示、技巧、支持和其他帮助:https://groups.google.com/g/apps4av-forum 或 [email protected]
最新版本0.0.84的更新日志
Last updated on 2026年02月16日
Minor bug fixes and improvements. Install or update to the newest version to check it out!
AvareX APK信息
在APKPure安全快速地下载APK
APKPure 使用签名验证功能,确保为您提供无病毒的 AvareX APK 下载。
AvareX历史版本
AvareX 0.0.84
36.4 MB2026年02月16日
AvareX 0.0.67
31.2 MB2025年10月28日
AvareX 0.0.66
31.2 MB2025年09月30日
AvareX 0.0.61
31.1 MB2025年09月13日



