عن AvareX
تطبيق الملاحة الجوية لكل من رحلات VFR وIFR
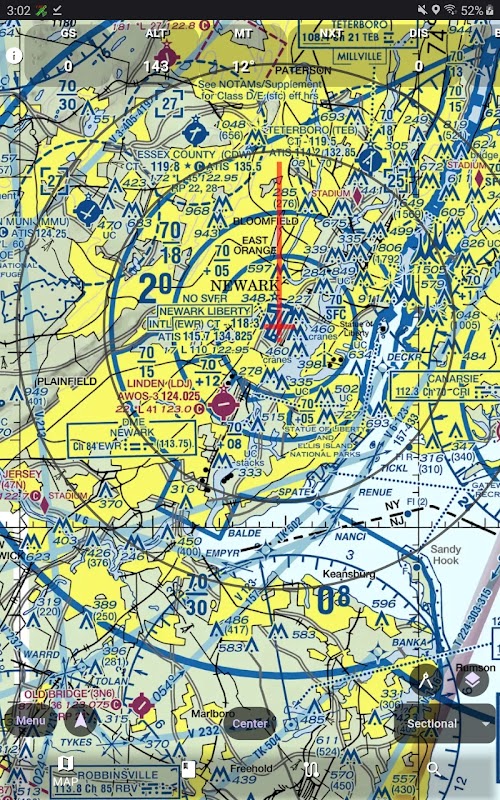
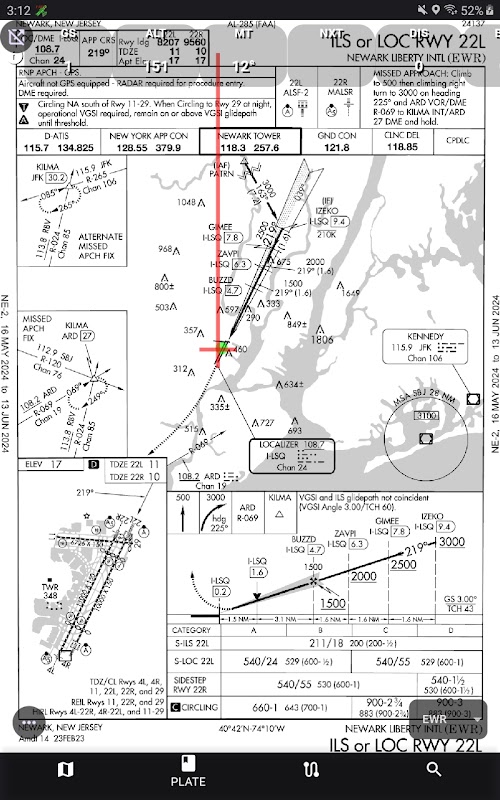
تم تصميم AvareX للطيارين ويحتوي على مخططات طيران FAA ذات مرجعية جغرافية، وIFR (عالية ومنخفضة)، وVFR (قطاعية وTAC)، ومسار الطيران، والمروحية، ولوحات اقتراب الأجهزة، وملحقات المخططات للولايات المتحدة والأقاليم التابعة لها فقط. بالنسبة للمخططات خارج الولايات المتحدة، يعتمد AvareX على "OSM" أو خرائط الشوارع المفتوحة. يدعم AvareX بيانات ADS-B من أي جهاز Wi-FI GDL-90 (مثل StratuX، والطراز الأحدث StratuS، وiLevil، وما إلى ذلك) وسيعرض حركة المرور، والطقس، وبيانات ADS-B الأخرى المستلمة.
إن AvareX مجاني تمامًا للاستخدام بدون تكلفة أو اشتراك مدفوع أو إعلانات أو بيع معلوماتك الشخصية. يعد AvareX بديلاً معلقًا لتطبيق Avare الأصلي. يتم دعم وتمويل AvareX من قبل المجتمع من خلال تبرعات المستخدمين.
AvareX موجود حاليًا في مرحلة التطوير النشطة للإصدار التجريبي. يقوم الطيارون باختبار AwareX، واستخدامه أثناء الطيران، وتقديم الملاحظات، وإرسال طلبات الميزات.
نحن ندعوك للانضمام إلى مجتمع Apps4Av الدولي لمواصلة تحسين هذا التطبيق المذهل. انضم إلى قناتنا على YouTube ومنتدى مجموعات Google، وساعدنا في تحسين AvareX (X=Cross-Platform). AvareX هو الجيل التالي من تطبيق Avare القديم ذو النظام الأساسي الفردي (Android فقط). يعمل AvareX الآن على كل منصات الحوسبة الرئيسية: iOS (iPhone/iPad)، وMacOS، وWindows، وLinux، وChromeOS، وبالطبع Android.
انضم إلى القائمة البريدية للحصول على النصائح والحيل والدعم والمساعدة الأخرى على https://groups.google.com/g/apps4av-forum أو [email protected]
What's new in the latest 0.0.84
معلومات AvareX APK
الإصدارات القديمة لـ AvareX
AvareX 0.0.84
AvareX 0.0.67
AvareX 0.0.66
AvareX 0.0.61
قم بتنزيل سريع وآمن بالغاية عبر تطبيق APKPure
قم بتثبيت ملفات XAPK/APK بنقرة واحدة على أندرويد!



