AvareX 정보
VFR 및 IFR 비행 모두를 위한 항공 항법 애플리케이션
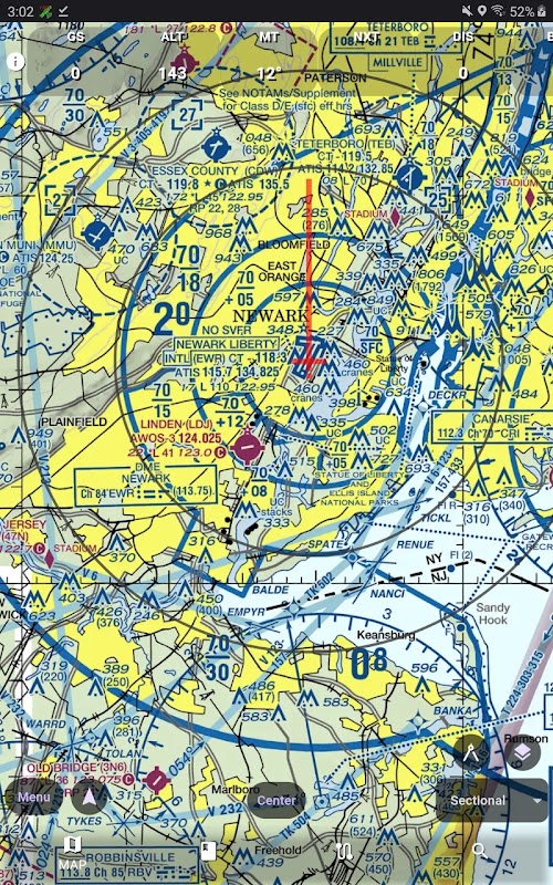
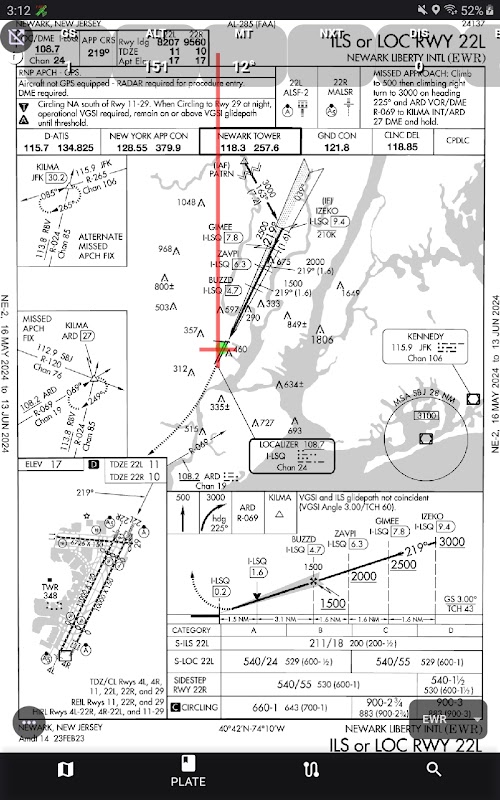
AvareX는 조종사를 위해 설계되었으며 지리 참조 FAA 항공 차트, IFR(고저위), VFR(단면 및 TAC), 이동 경로, 헬리콥터, 계기 접근 플레이트, 미국 및 그 영토에 대한 차트 보충 자료를 포함합니다. 미국 이외의 지역 차트의 경우 AvareX는 "OSM" 또는 Open Street Maps를 사용합니다. AvareX는 모든 Wi-FI GDL-90 장치(예: StratuX, 최신 모델 StratuS, iLevil 등)의 ADS-B 입력 데이터를 지원하며 교통, 날씨 및 기타 ADS-B 수신 데이터를 표시합니다.
AvareX는 비용, 유료 가입, 광고 또는 개인 정보 판매 없이 완전히 무료로 사용할 수 있습니다. AvareX는 원래 Avare 애플리케이션을 대체할 예정입니다. AvareX는 커뮤니티가 지원하고 사용자 기부를 통해 자금을 조달합니다.
AvareX는 현재 베타 버전 활성 개발 단계에 있습니다. 조종사는 AvareX를 테스트하고 비행 중에 사용하며 피드백을 제공하고 기능 요청을 제출하고 있습니다.
이 놀라운 앱을 더욱 발전시키기 위해 국제적인 Apps4Av 커뮤니티에 참여하도록 여러분을 초대합니다. YouTube 채널 및 Google 그룹 포럼에 참여하여 AvareX(X=교차 플랫폼)를 더욱 개선하는 데 도움을 주세요. AvareX는 인기 있는 레거시 단일 플랫폼(Android 전용) Avare 앱의 차세대 버전입니다. 이제 AvareX는 iOS(iPhone/iPad), MacOS, Windows, Linux, ChromeOS, Android 등 모든 주요 컴퓨팅 플랫폼에서 실행됩니다.
팁, 요령, 지원 및 기타 도움을 받으려면 https://groups.google.com/g/apps4av-forum 또는 [email protected]에서 메일링 리스트에 가입하세요.



